3D лазерный сканер (лидар) Hokuyo YVT-35LX

ООО "СЕНСОТЕК" - поставщик продукции и решений для промышленной автоматизации

О компании
Hokuyo

О компании Hokuyo

Японская компания Hokuyo выпускает лазерные сканеры (также известные как лидары), современные оптические датчики и устройства оптической связи. Лазерные сканеры Hokuyo получили широкую известн...

Подробнее
16.04.2018

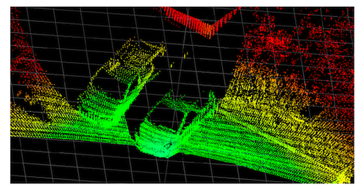
Новая серия 3D сканирующих дальномеров (лидаров) -  YVT-35LX  мирового производителя Hokuyo  измеряет расстояние путем вертикального и горизонтального управления лазерным лучом.

В одном кадре генерируется облако из 2590 точек. С помощью режима чередования можно увеличить плотность точек облака. Сканер оснащен акселерометром и входным сигналом PPS.

Описание:

Для определения расстояния сканер использует импульсный лазерный луч с принципом измерения TOF (время пролета луча).
Сканер излучает лазерный луч в широком трехмерном поле, обеспечивая данные о высоте, ширине и глубине объектов. Такую информацию невозможно получить с помощью классических 2D-сканеров.
  • Встроенный инерциальный измерительный модуль (IMU)
  • Режим максимальной плотности сканирования HD (Hight Density).
  • Входной сигнал PPS
  • Синхронизированный выходной сигнал
  • Линейный луч имеет диапазон управления 210° по горизонтали и 40° по вертикали. Диапазон измерения -  35 м спереди и примерно 14 м по бокам. 


   




Отдел продаж

+7(495) 181-56-67
info@sensotek.ru 

Продукция